REQUEST A TOUR If you would like to see this home without being there in person, select the "Virtual Tour" option and your agent will contact you to discuss available opportunities.
In-PersonVirtual Tour

Listed by Jim Rock • COMPASS
$ 429,000
Est. payment /mo
Active
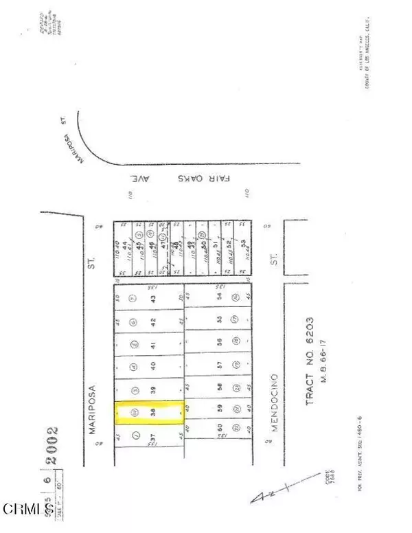
64 W Mariposa Street Altadena, CA 91001
5,983 SqFt
UPDATED:
Key Details
Property Type Vacant Land
Sub Type Unimproved Land
Listing Status Active
Purchase Type For Sale
Square Footage 5,983 sqft
Price per Sqft $71
MLS Listing ID CRP1-22766
HOA Y/N No
Lot Size 5,983 Sqft
Property Sub-Type Unimproved Land
Source Datashare California Regional
Property Description
Located just west of Fair Oaks Avenue, this lot presents an excellent opportunity to construct a new home on a flat parcel measuring 5,983 square feet. According to public records, it was previously home to a 720 square foot residence featuring 2 bedrooms and 1 bathroom. The property is in close proximity to local trails and parks including Charles Farnsworth Park, which offers amenities such as pickleball, tennis, and more. Both phases I and II of the property cleanup and debris removal are now complete. Buyers should independently verify all zoning, permitting and rebuilding requirements with Los Angeles County and verify status of utilities with local providers. Buyers are responsible for conducting their own investigations to satisfy themselves regarding future development, ability to add units, required lot size, environmental toxicity, community and neighborhood designation, zoning and taxes. Call for more information.
Location
State CA
County Los Angeles
Interior
Fireplace No
Exterior
View None
Building
Lot Description Level

© 2025 BEAR, CCAR, bridgeMLS. This information is deemed reliable but not verified or guaranteed. This information is being provided by the Bay East MLS or Contra Costa MLS or bridgeMLS. The listings presented here may or may not be listed by the Broker/Agent operating this website.





